Development for sale in Haverigg
Price: £3,500,000
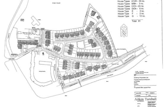
Plot Description
Valuable and current/implemented planning permission for 81 dwellings
Subscribe today from £5 to see full details or register for Free and set up your email alerts.
| Register | Subscribe | |
|---|---|---|
| Email alerts based on your own search criteria | ||
| Advertise your own plot or property for FREE | ||
| View full plot or property address | ||
| View full description & plans | ||
| View full agent contact details | ||
| FREE tickets to all Homebuilding & Renovating Shows | ||
| Register | Subscribe |
Sign up for our newsletters
OUR SPONSORS
Development opportunity in Millom
Search for Development in Millom
Previously passed planning permission for Seven Units
£175,000
Development opportunity in Ulverston
Previously has planning permission for a Dorma Bungalow
£400,000
Development in Flookburgh
A rare opportunity to acquire development land, located within the attractive village of Flookburgh,
£875,000
Residential Development in Grnage-over-Sands
Land allocated for residential development local
£595,000