Former Garden Land in Wolverhampton
Auction date: 20/10/2025
Price: £30,000

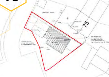
Plot Description
Full planning for 1 x 1 bedroom Bungalow
Subscribe today from £5 to see full details or register for Free and set up your email alerts.
Register | Subscribe | |
---|---|---|
Email alerts based on your own search criteria | ||
Advertise your own plot or property for FREE | ||
View full plot or property address | ||
View full description & plans | ||
View full agent contact details | ||
FREE tickets to all Homebuilding & Renovating Shows | ||
Register | Subscribe |
Sign up for our newsletters
OUR SPONSORS
Plot with PP for sale in Parkfields
Search for Plot with PP in Rough Hills
Just under 1 acre brownfield site located on Parkfield Road, Wolverhampton
£600,000
Building plot in Cannock
Planning consent for erection of a six bedroom executive dwelling house
£480,000
Plot with PP for sale in Norton Canes
Search for Plot with PP in Norton Canes
Plot for 5 three bedroom homes
£425,000
Plot for sale in Tettenhall
A freehold site of approx. 17,942sq feet in one of the most premium locations in Tettenhall
£650,000
Plot with PP for sale in Wimblebury
Search for Plot with PP or Private Sale or Custom Build in Wimblebury
As viewers will have seen, we had a house AND a plot for sale a few weeks ago but we have received a
£170,000
Plot with PP for sale in Hamstead
Search for Plot with PP or Private Sale or Shared Investment in Hamstead
Horatio Baugh Claims his Created Potential Parcels of Land from an Emoji Character
£100,200
Plot with PP for sale in Hamstead
Search for Plot with PP or Private Sale in Hamstead
Dot Com-Like Address - Business be found in One Click via Google soon and NOW Shopify!
£500,000
Plot with PP for sale in Hamstead
Search for Plot with PP or Private Sale in Hamstead
Digital Land Available - Celebrity Themed Neighborhood, Restricted Area to 500 Plots
£3,000